Ragasa trở thành siêu bão mạnh nhất thế giới năm 2025

Ragasa trở thành siêu bão mạnh nhất thế giới năm 2025

Với sức gió duy trì tới 270 km/h, Ragasa chính thức trở thành cơn bão mạnh nhất Trái Đất kể từ đầu năm nay.

Ngày 22 tháng 9 năm 2025, tạp chí Tri Thức – Znews đăng tải bài viết với tiêu đề ‘Ragasa trở thành siêu bão mạnh nhất thế giới năm 2025″. Nội dung như sau:

siêu bão Ragasa đã lập cột mốc mới khi duy trì sức gió tới 270 km/h trong thời gian ngắn, trở thành cơn bão mạnh nhất hành tinh tính đến năm 2025. Ảnh: Weather Network.

Ngày 21/9, sức gió mạnh nhất vùng gần tâm bão Ragasa đã lên tới 270 km/h với tâm bão nằm ở phía đông bắc Manila, Philippines.

Điều này chính thức xếp Ragasa vào cấp 5 – mức cao nhất trên thang Saffir-Simpson.

Hiện bão đang kèm theo sóng cao 11-12 m, tạo nên cảnh báo khẩn cấp cho nhiều khu vực.

Ảnh vệ tinh cho thấy mắt bão nhỏ, rõ nét với các dải mây đối xứng – đặc trưng của siêu bão cực mạnh.

Theo Weather Network, Ragasa đạt cường độ hiếm có nhờ ba yếu tố: không bị đứt gió phá vỡ cấu trúc, nhiệt độ mặt biển khoảng 30 độ C cung cấp năng lượng dồi dào, và hệ thống thoát khí hoạt động hiệu quả, khiến bão duy trì đối xứng hoàn hảo.

Các dự báo cho biết Ragasa sẽ giữ sức gió gần cực đại trong vài giờ tới trước khi suy yếu dần khi quét qua Philippines rồi tiến vào Biển Đông. Giới chức Philippines và Đài Loan (Trung Quốc) đã phát lệnh sơ tán khẩn cấp tại các khu vực có nguy cơ cao.

Chuyên gia thời tiết Philippines John Grender Almario cảnh báo phía bắc đảo Luzon có thể hứng “lũ lụt nghiêm trọng và sạt lở đất”, với tác động mạnh nhất dự kiến vào sáng 22/9. Nhiều nơi khác trên đảo cũng có thể gió mạnh, mưa lớn, song Manila được dự báo ít chịu ảnh hưởng trực tiếp.

Philippines – quốc gia nằm trên lộ trình bão Thái Bình Dương – mỗi năm trung bình hứng 20 trận bão và siêu bão, khiến hàng triệu người dân sống trong vùng rủi ro thiên tai thường xuyên đối mặt khó khăn.

Các nhà khoa học cảnh báo bão đang có xu hướng dữ dội hơn khi Trái Đất ấm lên vì biến đổi khí hậu do con người gây ra.

Cùng ngày, Đài Thiên văn Hong Kong (Trung Quốc) dự báo thời tiết tại đặc khu này sẽ “xấu dần” trong hai ngày 23-24/9 với gió bão mạnh và mực nước biển dâng cao, tương tự như tình huống của siêu bão Mangkhut năm 2018.

Báo Lao Động cũng đăng tải bài viết với tiêu đề “Siêu bão Ragasa lộ con mắt khổng lồ, cuộn thẳng về Biển Đông”. Nội dung như sau:

Siêu bão Ragasa lộ con mắt khổng lồ, cuộn thẳng về Biển Đông
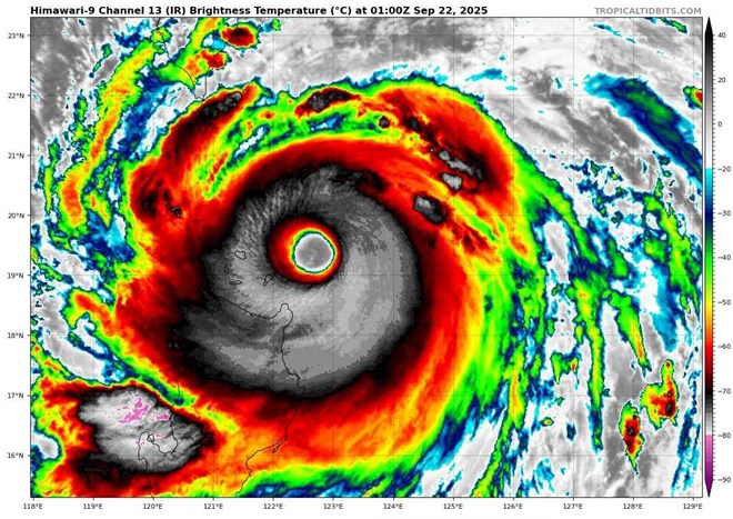
Mắt siêu bão Ragasa lúc 8h ngày 22.9.2025. Ảnh: Tropicaltidbits.com

Ảnh vệ tinh Himawari của Nhật Bản sáng 22.9 cho thấy mắt bão khổng lồ, đường kính hơn 70km, đang xoáy dữ dội trên bầu trời Bắc Luzon (Philippines).

Siêu bão Ragasa đã đạt cực đại với sức gió giật 270 km/h, trở thành cơn bão mạnh nhất thế giới năm 2025 và đang cuộn thẳng hướng Biển Đông.

Theo tin bão mới nhất của Trung tâm Khí tượng Tokyo (RSMC), siêu bão Ragasa chính thức tụt áp suất xuống 905 hPa – mức thấp kỷ lục trong năm nay. Với thông số này, Ragasa vượt qua siêu bão Yagi và Erin, giữ ngôi vị bão mạnh nhất hành tinh năm 2025 tính đến nay.

Mắt siêu bão Ragasa sáng 22.9.2025 lớn hơn cả đảo Cực Bắc Luzon, Philippines. Ảnh: RSMC
Mắt siêu bão Ragasa sáng 22.9.2025 lớn hơn cả đảo Cực Bắc Luzon, Philippines. Ảnh: Philippine Daily Weather Update

Giới khí tượng quốc tế đang lo ngại siêu bão Ragasa có thể chạm ngưỡng sức tàn phá của siêu bão Hải Yến (Haiyan) năm 2013 – một trong những siêu bão khủng khiếp nhất lịch sử hiện đại.

Ngày 22.9, toàn bộ miền Bắc Luzon, Philippines đang bị ảnh hưởng trực tiếp. Mưa lớn, gió giật cực mạnh, sóng biển cao tràn sâu vào đất liền. Tại Punta, Aparri (Cagayan), nước biển đã gây ngập úng nghiêm trọng.

Các đảo Babuyan, Calayan, Didicas được đặt ở mức cảnh báo bão số 5 – mức cao nhất của Philippines – với dự báo gió giật vượt cấp 17. Chính quyền địa phương khuyến cáo người dân tuyệt đối không rời nơi trú ẩn khi bão đi qua.

Dự báo tâm bão ​​sẽ đi qua hoặc đổ bộ vào khu vực quần đảo Babuyan vào trưa 22.9 hoặc đầu giờ chiều.

Các trung tâm dự báo lớn đồng loạt dự báo siêu bão Ragasa sẽ tiến vào Vịnh Bắc Bộ trong vòng 72 giờ tới, với cường độ giảm dần nhưng vẫn cực kỳ nguy hiểm.

Theo dự báo bão của Trung tâm Dự báo Khí tượng Thủy văn Quốc gia Việt Nam, bão cực đại cấp 17, sau giảm xuống cấp 13-14 trên vùng biển phía Đông Vịnh Bắc Bộ vào sáng 25.9.

Dự báo đường đi của siêu bão Ragasa. Ảnh: Trung tâm Dự báo Khí tượng Thủy văn Quốc gia Việt Nam
Dự báo đường đi của siêu bão Ragasa. Ảnh: Trung tâm Dự báo Khí tượng Thủy văn Quốc gia Việt Nam

Cơ quan Khí tượng Nhật Bản (JMA) dự báo bão đạt cực đại cấp 16, hạ còn cấp 10-12 khi vào bờ biển Bắc Bộ.

Trung tâm cảnh báo bão Liên hợp Mỹ (JTWC) dự báo gió giật cực đại 270 km/h, khi gần bờ biển Thái Bình còn cấp 9-11.

Đài Quan sát Khí tượng Hong Kong (Trung Quốc) dự báo siêu bão đạt đỉnh cuối cấp 17, vào Quảng Ninh – Hải Phòng ở cấp 11-12.

Dù các kịch bản có khác biệt nhỏ, các dự báo đều thống nhất rằng bão Ragasa (bão số 9) sẽ đổ bộ từ Quảng Ninh đến Hà Tĩnh trong ngày 25.9, với sức gió mạnh nhất cấp 11-13.

Hoàn lưu bão Ragasa được dự báo gây mưa lớn kéo dài nhiều ngày ở Bắc Bộ và Bắc Trung Bộ, từ ngày 25 đến 28.9. Ven biển Quảng Ninh – Hải Phòng có thể hứng gió giật cấp 13-14 ngay từ sáng 25.9, nguy cơ cao xảy ra ngập lụt, sạt lở và triều cường.

Các chuyên gia khí tượng khuyến cáo người dân vùng ven biển cần nhanh chóng gia cố nhà cửa, neo đậu tàu thuyền và chuẩn bị sẵn phương án sơ tán.

Trong khi đó, trên mạng xã hội Philippines, hàng nghìn lời cầu nguyện được đăng tải khi siêu bão Ragasa tiếp tục tàn phá Bắc Luzon. “Chỉ có thể cầu mong chúng ta sẽ vượt qua cơn bão quái vật này” – một người dân viết.